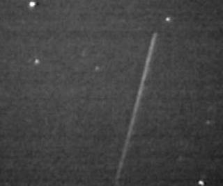
2003年11月16日 23時23分21秒の火球の軌道計算結果
この火球は、宮城県の井上氏がTVでとらえています。また、神奈川県の鈴木氏もTV観測されています。さらに、埼玉県の野本氏もTV観測されていました。野本氏の画像では、痕が3秒ほど撮影されています。明るさは、−1等〜−2等。これらのデータをもとに軌道計算をしてみました。その結果からしし座流星群であることが分かりました。上記3氏からは、貴重なデータの提供を頂きました。ご協力ありがとうございました。
| 観測者 1 鈴木氏 神奈川県 魚眼 |
観測者 2 野本氏 埼玉県 TV6mm |
観測者 3 井上氏 宮城県 TV6mm |
|
| 出現時刻 : 2003年 11月 16/17 23時23分21秒 | ||||
| 鈴木氏の発光点 | 140゜10.3 | +36゜02.9 | 111.5km | 流星群カタログ のRL03群 塩井氏と重野氏 1995年8月 より引用 |
| 鈴木氏の消滅点 | 139゜47.6 | +35゜53.4 | 109.7km | |
| 井上氏の発光点 | 141゜07.4 | +36゜26.3 | 117.1km | |
| 井上氏の消滅点 | 139゜32.3 | +35゜46.9 | 108.6km | |
| 野本氏の発光点 | 140゜41.8 | +36゜15.9 | 114.4km | |
| 野本氏の消滅点 | 139゜40.0 | +35゜53.6 | 109.7km | |
| 視輻射点(2000) | 修正輻射点(2000) | しし群B | ||
| 155.9゜ | +23.5゜ | 156.6゜ | +23.1゜ | 153゚ +20゚ |
| 観測速度 | 69.8 km/s | 軌道長半径 | 4.4(A.U.) | 13.2 |
| 地心速度 | 68.6 km/s | 離 心 率 | 0.783 | 0.93 |
| 日心速度 | 32.1 km/s | 近日点距離 | 0.958(A.U.) | 0.94 |
| 経路長 | 163.2km | 近日点引数 | 158.2゜ | 168 |
| 見込角 | 75.5゚ | 昇交点黄経 | 233.8゜ | 234 |
| 突入天頂角 | 87.9゜ | 軌道傾斜角 | 158.0゜ | 165 |
| 速度誤差 | 0.0% | 周 期 | 9.3年 | |


